
Австралийские учёные нашли в водах Индийского океана подводные горы, похожие на фантастическое тёмное царство Мордор из трилогии "Властелин колец" Джона Толкина. Наибольший интерес исследователей вызвала гигантская кальдера подводного вулкана в виде глаза. Она напомнила им "всевидящее око" главного антагониста саги — злодея Саурона.
Научное судно RV Investigator Государственного объединения научных и прикладных исследований Австралии (CSIRO) проводило в Индийском океане работу по оценке морского биоразнообразия. На 12 день экспедиции учёные случайно обнаружили подводные горы необычной формы, в том числе ранее неизвестный вулкан в виде гигантского глаза, названный ими Оком Саурона. Об этом исследователи сообщили в статье на онлайн-сервисе The Conversation.
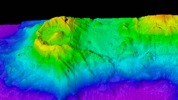
Древний подводный вулкан был найден с помощью мощного гидролокатора (многолучевого эхолота) на глубине 3100 метров в исключительной экономической зоне Австралии в 280 км на юго-восток от острова Рождества.
"Неизвестный и невообразимый, этот вулкан появился на наших мониторах в виде гигантской овальной впадины, так называемой кальдеры, размером 6,2 на 4,8 км. Он окружен валом высотой 300 м (напоминающим веки Саурона) и имеет конусообразный пик (зрачок) высотой 300 м в центре", — пишет автор статьи и участник экспедиции Тим О'Хара, старший куратор отдела морских беспозвоночных из ассоциации "Музеи Виктории".
Глубоководный вулкан, напомнивший учёным гигантский глаз главного злодея толкинской саги "Властелин колец", был не единственной находкой учёных. Дальнейшее картирование морского дна с помощью эхолота показало в южном направлении от Ока Саурона гору меньшего размера, покрытую многочисленными вулканическими конусами, а ещё дальше на юг была обнаружена подводная гора с плоской вершиной.
Обе горы учёные также назвали в честь фантастической трилогии: первая получила имя главного укрепления Саурона Барад-дур (Тёмная крепость), вторую назвали в честь мордорской гряды Эред Литви (Пепельные горы).Как установили исследователи, Око Саурона, Барад-дур и Эред-Литви являются частью гряды подводных гор Карма. Геологи считают, что эти горы сформировались рядом с древним морским хребтом более 100 миллионов лет назад, когда Австралия находилась намного южнее, чем сейчас — недалеко от Антарктиды.
Тогда Эред Литви выступала над морской поверхностью, а её вершина была разрушена волнами прежде чем тяжелая подводная гора медленно опустилась обратно на мягкое дно океана. Сейчас, выяснили учёные, вершина Эред Литви находится уже на 2600 м ниже уровня моря.
"Тут есть геологическая загадка. Для горы, которой более 100 млн лет, её кальдера выглядит удивительно "молодо". Эред Литви покрыта почти 100-метровым слоем песка и грязи, образовавшимся в результате опускания мертвых организмов на её вершину в течение миллионов лет. С такой скоростью выпадания осадка кальдера должна была уже частично "затянуться". Вместо этого вполне возможно, что на дне кальдеры продолжали расти или образовались новые вулканы. Наша беспокойная Земля никогда не бывает спокойной", — отметил Тим О'Хара.
Исследователи отмечают, что подводные извержения на большой глубине могут пройти незамеченными. Одним из немногих явных признаков такого события являются своеобразные "плоты" из светлой пемзы, плавающие по морю после выброса магмы.
Кальдера, напоминают учёные, образуется после обрушения стенок кратера или в результате катастрофического извержения вулкана. Расплавленная магма у основания вулкана смещается вверх, оставляя пустые камеры, вершина разрушается и образуется большая котловина. Поскольку вулкан продолжает извергать магму, зачастую в центре котловины начинает формироваться новая вершина. Одна из самых известных кальдер на Земле принадлежит действующему вулкану Кракатау в Индонезии. После катастрофического извержения в 1883 году, приведшего к гибели по меньшей мере 36 417 человек, была разрушена большая часть острова, а над водой остались лишь фрагменты горного хребта. К 1927 году в центре кальдеры вырос небольшой вулкан Анак Кракатау (дитя Кракатау).
О'Хара пишет, что жизнь приспосабливается к различным геологическим процессам, и в настоящее время Эред Литви покрыт морскими животными. Змеехвостки, морские звезды, крабы и черви зарываются в песчаную поверхность или перемещаются по ней. Скалы населены хищными рыбами, черными веерообразными кораллами, морскими хлыстами, губками и ракушками.
"Наша миссия состоит в том, чтобы составить карту морского дна и исследовать морскую жизнь этих древних и уединенных морских пейзажей. Правительство Австралии недавно объявило о планах создания двух крупных морских парков в разных регионах. Наша экспедиция предоставит научные данные, которые помогут управлять этими районами в будущем. Вторая часть нашей экспедиции к Кокосовым островам состоится скорее всего уже в следующем году", — подытожил Тим О'Хара.
Исследования проводятся на специально оборудованном для подобных работ в океане 94-метровом научном судне RV Investigator, которое оснащено широким спектром бортовых и модульных лабораторий и оборудования. На судне проводятся биологические, океанографические, геологические и атмосферные исследования. На нём могут разместиться 40 учёных и техников, а также 20 членов команды. Без пополнения запасов и заправки может находиться в океане 60 дней и пройти до 10 тыс морских миль (18,52 тыс. км).
Свежие комментарии